网站首页  百科知识

请输入您要查询的百科知识:

 

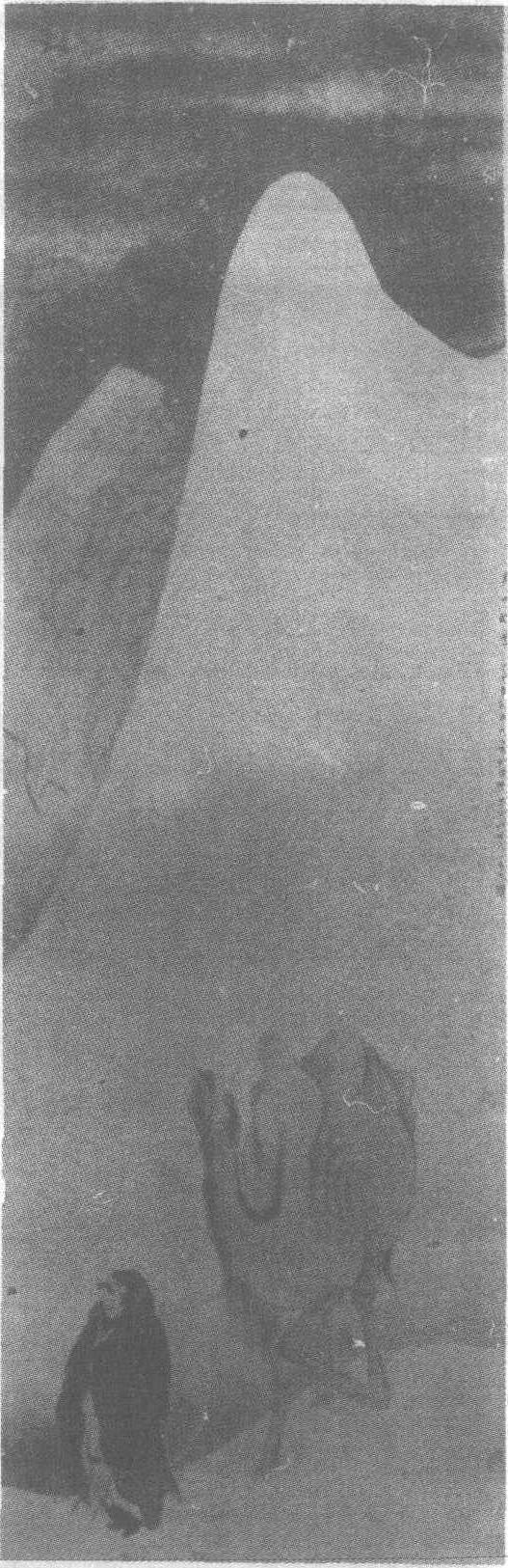
词条 华喦天山积雪图轴
类别 中文百科知识
释义

华喦天山积雪图轴

清。华喦(见《华喦山鹊爱梅图轴》条目)绘。纸本设色。北京故宫博物院藏。此幅画狭长。高耸的雪山和青冷的天空占去了画面的绝大部分。山下一位孤独的旅行者牵着骆驼在冰山冷雪间缓步行进。一只鸿雁在天穹中掠过,它清亮的叫声在沉寂的山谷中回响,使正在行走的旅客不禁止步仰天而望,也引得那只埋头行走的骆驼好奇地抬头观看。鸿雁的出现同时吸引了旅客和骆驼的视线,使冷寂的天山顿时变得充满生机。人物和骆驼,用工笔重彩画法,工致细腻,人物衣服与骆驼绒毛的质感被形象地表现出来。在色彩上采用了大反差的对比,雪山洁白、天空的幽青,与旅客披身大氅火焰般的红色及骆驼深沉的黄褐色,形成了强烈的对比,并以红、黄的少,胜青、白的多,似乎在预示:天山虽高寒、神秘莫测,但高傲的鸿雁与不畏艰险的行旅、寒驼,才是自然界真正的主宰。使人觉得这雪山深处不再可怕可惧,充满了感人的艺术魅力。华喦中年曾北游恒山、西游华山,饱览雪山寒景,有着丰富的生活体验,这幅作品便是他这种奇妙、迷人的审美感受的直接抒写。因此能感人至深。

随便看

 

开放百科全书收录579518条英语、德语、日语等多语种百科知识,基本涵盖了大多数领域的百科知识,是一部内容自由、开放的电子版国际百科全书。

 

Copyright © 2000-2025 oenc.net All Rights Reserved
更新时间:2026/5/19 19:50:21